Praha 13
Bezplatná linka 800 130 000

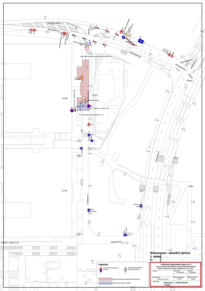
Uzavírka Siemensovy ulice

Praha13
27.05.2019
Nenechte si ujít

Od 10. 6. do 10. 7. 2019 bude uzavřena ulice Siemensova.



Od 10. 6. do 10. 7. 2019 bude uzavřena ulice Siemensova.
Uzavírka ul. Siemensova

Sdílejte článek